• Tokyo
  • Kyoto
  • Osaka
  • Mount Fuji
  • Hokkaido
  • Okinawa
  • Japan
    • Nagoya
    • Sapporo
    • Fukuoka
    • Kobe
    • Yokohama
    • Hiroshima
    • Nagano
    • Shizuoka
Alo Japan All About Japan
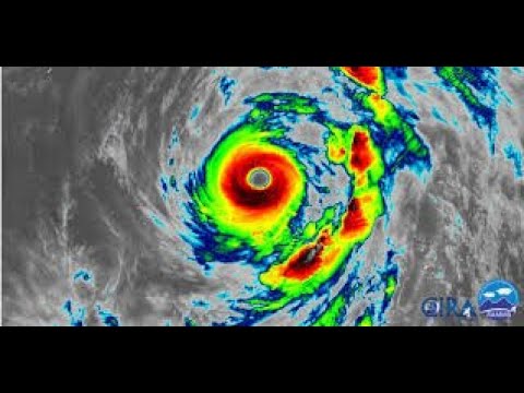
Typhoon Hagibis to hit Tokyo
In Travel

Typhoon Hagibis to hit Tokyo

October 11, 2019

Super Typhoon Hagibis to hit Tokyo on Oct 12 Afternoon. Tokyo residents are anticipating power cut and disruption in train services.

Super Typhoon Hagibis JapanTokyoTokyo destinationsTokyo tourtokyo travelTokyo tripTokyo vacationtyphoon hagibisTyphooon in tokyo東京

AloJapan.com

© Alo Japan

Top